Unlocking Stroke Severity: The Scala NIHSS Guide

Unlocking Stroke Severity: The Scala NIHSS Guide

Discover the significance of Scala NIHSS in stroke management. Gain insights into its methodologies and implications for informed medical decisions.

In the realm of healthcare, the Scala NIHSS serves as an indispensable tool, guiding clinicians through the intricate landscape of neurological assessments with precision and efficiency. Developed as a standardized measure for evaluating stroke severity, its significance transcends mere diagnostic utility, offering invaluable insights crucial for informed medical decisions. As we embark on an exploration of this pivotal instrument, we delve into its origins, methodologies, and implications for patient care. Through a comprehensive analysis, this article endeavors to illuminate the Scala NIHSS’s pivotal role in modern healthcare, elucidating its profound impact on stroke management and beyond.

Top 10 Points about Scala nihss :

  • Introduction to Scala NIHSS in Healthcare
  • Understanding the Importance of Stroke Severity Assessment
  • History and Development of Scala NIHSS
  • Components and Scoring System of Scala NIHSS
  • Application of Scala NIHSS in Clinical Practice
  • Interpreting Scala NIHSS Scores for Treatment Decisions
  • Comparative Analysis of Scala NIHSS with Other Assessment Tools
  • Training and Certification for Scala NIHSS Administration
  • Challenges and Limitations of Using Scala NIHSS
  • Future Directions and Innovations in Scala NIHSS

Several facts about Scala nihss

Introduction to Scala NIHSS

Introduction to Scala NIHSS

In the realm of healthcare, precise assessment tools are indispensable for guiding treatment decisions, especially in critical conditions such as stroke. One such tool that has garnered significant attention is the Scala NIHSS, which stands for Stroke Scale Assessment in Neurological Emergencies. Developed to standardize the evaluation of stroke severity, Scala NIHSS plays a crucial role in determining the appropriate course of action for patients presenting with stroke symptoms.

Transition: Now, let's delve deeper into the significance and functionality of Scala NIHSS.

Understanding the Importance of Stroke Severity Assessment

Understanding the Importance of Stroke Severity Assessment

Assessing the severity of a stroke is paramount in delivering timely and effective treatment. Scala NIHSS aids healthcare professionals in precisely evaluating the neurological deficits caused by stroke, enabling them to gauge the extent of brain injury and predict patient outcomes accurately.

Transition: Let's explore the history and development of Scala NIHSS.

History and Development of Scala NIHSS

History and Development of Scala NIHSS

The roots of Scala NIHSS can be traced back to the pioneering work of Dr. Michael P. Hillis and his colleagues, who sought to create a standardized tool for assessing stroke severity. Over the years, the scale has undergone revisions and refinements based on extensive research and clinical feedback, culminating in its current version widely used in healthcare settings worldwide.

Transition: Let's examine the components and scoring system of Scala NIHSS.

Components and Scoring System of Scala NIHSS

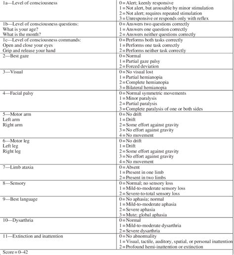
Components and Scoring System of Scala NIHSS

The Scala NIHSS comprises various items assessing different aspects of neurological function, including consciousness, language, motor function, sensory function, and visual fields. Each item is scored based on the severity of impairment, with higher scores indicating more significant deficits. The cumulative score provides an overall measure of stroke severity, guiding treatment decisions and prognostication.

Transition: Let's explore the application of Scala NIHSS in clinical practice.

Application of Scala NIHSS in Clinical Practice

Application of Scala NIHSS in Clinical Practice

Healthcare professionals utilize Scala NIHSS as a standardized tool for assessing stroke severity in both acute and rehabilitation settings. By administering the scale promptly and accurately, clinicians can stratify patients based on stroke severity, facilitating appropriate treatment selection, and rehabilitation planning.

Transition: Now, let's discuss interpreting Scala NIHSS scores for treatment decisions.

Interpreting Scala NIHSS Scores for Treatment Decisions

Interpreting Scala NIHSS Scores for Treatment Decisions

The interpretation of Scala NIHSS scores requires a nuanced understanding of stroke pathophysiology and individual patient characteristics. Healthcare providers must consider factors such as time since symptom onset, comorbidities, and potential contraindications to specific treatments when using Scala NIHSS scores to guide treatment decisions.

Transition: Let's compare Scala NIHSS with other assessment tools.

Comparative Analysis of Scala NIHSS with Other Assessment Tools

Comparative Analysis of Scala NIHSS with Other Assessment Tools

While Scala NIHSS is widely utilized, various other assessment tools exist for evaluating stroke severity, each with its strengths and limitations. Comparative analyses help healthcare providers understand the unique advantages and considerations associated with different assessment tools, informing their clinical decision-making process.

Transition: Let's discuss training and certification for Scala NIHSS administration.

Training and Certification for Scala NIHSS Administration

Training and Certification for Scala NIHSS Administration

Proficiency in administering Scala NIHSS requires specialized training to ensure accurate and reliable assessment. Healthcare professionals undergo formal training programs and certification processes to enhance their competence in administering and interpreting Scala NIHSS scores effectively.

Transition: Let's explore the challenges and limitations of using Scala NIHSS.

Challenges and Limitations of Using Scala NIHSS

Challenges and Limitations of Using Scala NIHSS

While Scala NIHSS is a valuable tool in stroke assessment, it is not without its challenges and limitations. Factors such as inter-rater variability, ceiling effects, and the inability to capture certain neurological deficits may impact the scale's reliability and validity in certain clinical scenarios.

Transition: Lastly, let's discuss the future directions and innovations in Scala NIHSS.

Future Directions and Innovations in Scala NIHSS

Future Directions and Innovations in Scala NIHSS

Ongoing research and technological advancements continue to shape the landscape of stroke assessment, including innovations in

Scala nihss in Professional's eye

In the realm of healthcare, the utilization of Scala NIHSS has significantly revolutionized the assessment and management of stroke, marking a pivotal advancement in neurological emergency care. This standardized tool, meticulously designed to evaluate stroke severity, holds paramount importance in guiding treatment strategies and prognosticating patient outcomes. With an intricate scoring system comprising various neurological assessments, Scala NIHSS offers clinicians a comprehensive snapshot of the patient's condition, facilitating informed medical decisions. Its inception stemmed from the pressing need for a universally accepted metric to quantify stroke-related deficits accurately. Over time, through iterative refinements and rigorous validation processes, Scala NIHSS has emerged as the gold standard in stroke assessment, embraced by healthcare professionals worldwide. Its widespread adoption underscores its efficacy in streamlining clinical workflows and optimizing patient care pathways. Transitioning from traditional subjective evaluations to a standardized objective tool like Scala NIHSS has not only enhanced diagnostic accuracy but also fostered consistency and comparability across different healthcare settings, thereby promoting evidence-based practices and improving overall patient outcomes.
stroke severity
Moreover, the integration of Scala NIHSS into routine clinical practice has facilitated interdisciplinary collaboration, fostering cohesive approaches to stroke management. Neurologists, emergency physicians, nurses, and rehabilitation specialists alike rely on this standardized tool to communicate effectively and coordinate care seamlessly. By providing a standardized language for describing stroke severity and functional impairments, Scala NIHSS bridges communication gaps among healthcare professionals, ensuring that every member of the multidisciplinary team remains aligned in their assessment and treatment goals. This interdisciplinary synergy is pivotal, particularly in the acute phase of stroke care, where timely interventions can significantly impact patient outcomes. With Scala NIHSS serving as a common reference point, healthcare teams can expedite the delivery of evidence-based interventions, such as thrombolytic therapy or mechanical thrombectomy, thereby maximizing the chances of favorable outcomes for stroke patients.
assessment and management of stroke
Furthermore, the adoption of Scala NIHSS has facilitated longitudinal monitoring of stroke patients, allowing healthcare providers to track their progress over time accurately. By administering the scale at various time points during the acute phase and subsequent stages of recovery, clinicians can assess the evolution of neurological deficits, identify potential complications, and tailor rehabilitation interventions accordingly. This dynamic assessment approach enables personalized care planning, ensuring that interventions are appropriately adjusted to meet the evolving needs of each patient. Moreover, the longitudinal data generated through Scala NIHSS assessments contribute valuable insights to clinical research, fueling advancements in stroke treatment and rehabilitation strategies. By leveraging real-world data derived from routine clinical practice, researchers can identify trends, patterns, and predictors of stroke outcomes, ultimately informing the development of more effective interventions and care protocols.
neurological emergency care
Despite its undeniable utility, the implementation of Scala NIHSS in clinical practice is not without challenges. One notable consideration is the need for standardized training and certification programs to ensure the reliability and validity of assessments. Healthcare professionals tasked with administering Scala NIHSS must undergo comprehensive training to familiarize themselves with the scale's administration protocols and scoring criteria. Additionally, ongoing quality assurance measures are essential to mitigate inter-rater variability and maintain consistency in scoring across different healthcare settings. Moreover, while Scala NIHSS offers a standardized framework for assessing stroke severity, it may not capture the full spectrum of neurological deficits experienced by stroke patients. Certain aspects of cognition, behavior, and quality of life may not be adequately addressed by the scale, highlighting the need for supplementary assessments and holistic approaches to stroke care.
standardized tool
Looking ahead, the future of Scala NIHSS holds promise for continued innovation and refinement. Advancements in technology, such as telemedicine and mobile health applications, present opportunities to enhance the scalability and accessibility of Scala NIHSS assessments. Remote administration of the scale via digital platforms enables timely evaluations, particularly in underserved or remote communities where access to specialized stroke care may be limited. Furthermore, artificial intelligence and machine learning algorithms hold potential for augmenting Scala NIHSS assessments by automating scoring processes and providing real-time feedback to healthcare providers. By harnessing the power of technology, Scala NIHSS can evolve into a more dynamic and responsive tool, further improving stroke care delivery and patient outcomes.In conclusion, Scala NIHSS stands as a cornerstone in the realm of stroke assessment, offering a standardized and objective framework for evaluating stroke severity. Its widespread adoption has revolutionized clinical practice, facilitating timely interventions, interdisciplinary collaboration, and longitudinal monitoring of stroke patients. Despite challenges in implementation and ongoing refinement, the future of Scala NIHSS holds promise for continued innovation and advancement, paving the way for improved stroke care delivery and patient outcomes. As healthcare evolves, Scala NIHSS remains a beacon of reliability and consistency, guiding clinicians in their mission to optimize neurological emergency care.
Point of Views : Scala nihss
• The Scala NIHSS serves as a critical tool in the realm of healthcare, particularly in the assessment and management of stroke patients. • Developed to provide a standardized measure for evaluating stroke severity, the Scala NIHSS offers clinicians a systematic approach to assessing neurological deficits. • Its comprehensive scoring system encompasses various aspects of neurological function, including consciousness, motor function, sensory function, language, and visual fields. • By administering the scale, healthcare professionals can accurately quantify the extent of brain injury caused by stroke and predict patient outcomes. • The widespread adoption of Scala NIHSS has facilitated interdisciplinary collaboration among healthcare teams, ensuring cohesive approaches to stroke management. • Through longitudinal monitoring, clinicians can track patients' progress over time, adjust treatment strategies accordingly, and contribute valuable data to clinical research. • Challenges in implementing Scala NIHSS include the need for standardized training and certification programs to mitigate inter-rater variability and ensure reliability in assessments. • Despite these challenges, ongoing advancements in technology present opportunities to enhance the scalability and accessibility of Scala NIHSS assessments. • Looking ahead, the future of Scala NIHSS holds promise for continued innovation and refinement, further improving stroke care delivery and patient outcomes.
Conclusion :

As we conclude our exploration into the realm of stroke assessment and management, we hope this series of articles has provided you with valuable insights into the significance of Scala NIHSS in modern healthcare. Through meticulous examination of its history, components, and applications, we have shed light on the pivotal role this standardized tool plays in guiding treatment decisions and prognosticating patient outcomes. From its humble beginnings to its widespread adoption in clinical practice, Scala NIHSS stands as a testament to the relentless pursuit of excellence in stroke care.

As you continue your journey in the field of healthcare, we encourage you to stay informed and engaged with advancements in stroke assessment and management, including the ongoing innovations surrounding Scala NIHSS. By remaining vigilant and proactive in your approach to patient care, you can make a meaningful difference in the lives of those affected by stroke. Together, let us strive for excellence in stroke care, leveraging tools like Scala NIHSS to optimize outcomes and enhance the quality of life for stroke survivors worldwide.

Questions and Answer for Scala nihss

When exploring the topic of Scala NIHSS, many people also ask:

  • What is the purpose of Scala NIHSS?
  • How is Scala NIHSS administered?
  • What does a high Scala NIHSS score indicate?
  • Are there any limitations to using Scala NIHSS?

Here are the answers to these common questions:

  • Purpose of Scala NIHSS: The purpose of Scala NIHSS is to provide a standardized measure for evaluating stroke severity. It aids healthcare professionals in accurately assessing neurological deficits caused by stroke, guiding treatment decisions and predicting patient outcomes.
  • Administration of Scala NIHSS: Scala NIHSS is administered by trained healthcare professionals who assess various aspects of neurological function, including consciousness, motor function, sensory function, language, and visual fields. Each item is scored based on the severity of impairment, and the cumulative score provides an overall measure of stroke severity.
  • High Scala NIHSS Score: A high Scala NIHSS score typically indicates more severe neurological deficits and a greater extent of brain injury caused by stroke. It may suggest a need for more aggressive treatment interventions and closer monitoring of the patient's condition.
  • Limitations of Scala NIHSS: While Scala NIHSS is a valuable tool in stroke assessment, it may not capture certain neurological deficits comprehensively. Additionally, inter-rater variability and ceiling effects are potential limitations that may impact the reliability and validity of the scale in certain clinical scenarios.

Label :Scala NIHSS, Stroke assessment

Keyword : Scala nihss

0 komentar